Dernau ca. 1948
Gleisplan Dernau ca. 1948
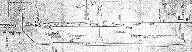
Gleisplan Bf Dernau 1957
Gleisplan Dernau
Gleisplan Dernau ca. 1960

zurück